Продаются 3 этажа (цокольный, первый и пятый)+помещение с отдельным входом(отмечено штриховкой) с арендаторами в коммерческом здании в центре Екатеринбурга,
Адрес: ул. Восточная, 52, г. Екатеринбург,
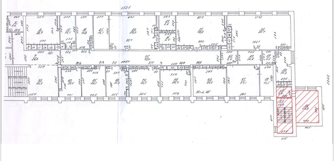
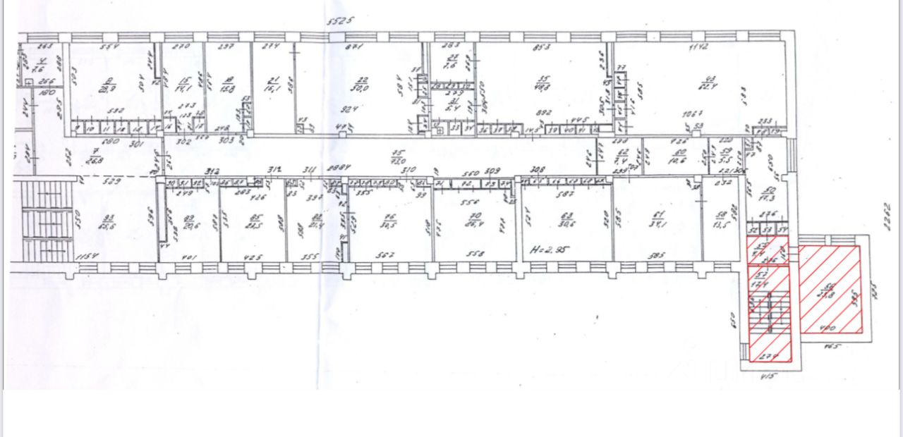
Суммарная площадь этажей: 2 104,6 м², Площадь помещения с отдельным входом: 133,5 м²,
Описание объекта: предлагаются к продаже 3 этажа в коммерческом здании, общая площадь которых составляет 2 104,6 м², а также помещение с отдельным входом площадью 133,5 м², расположенное на 2, 3, 4 этажах(отмечено штриховкой).Помещения с арендаторами. Здание находится в центральной части Екатеринбурга по адресу ул. Восточная, 52, в Кировском районе города.
Продаются 3 этажа (цокольный, первый и пятый)+помещение с отдельным входом(отмечено штриховкой) с арендаторами в коммерческом здании в центре Екатеринбурга,
Адрес: ул. Восточная, 52, г. Екатеринбург,
Суммарная площадь этажей: 2 104,6 м², Площадь помещения с отдельным входом: 133,5 м²,
Описание объекта: предлагаются к продаже 3 этажа в коммерческом здании, общая площадь которых составляет 2 104,6 м², а также помещение с отдельным входом площадью 133,5 м², расположенное на 2, 3, 4 этажах(отмечено штриховкой).Помещения с арендаторами. Здание находится в центральной части Екатеринбурга по адресу ул. Восточная, 52, в Кировском районе города.
Транспортная доступность:
Общественный транспорт: В непосредственной близости от здания расположена автостанция Восточная, а также Ж/Д станция Первомайская.
Автомобильный доступ: Улица Восточная является одной из ключевых магистралей города, что обеспечивает удобный подъезд к зданию с различных направлений.
Преимущества объекта:
-Помещения с арендаторами в центре Екатеринбурга с надёжными арендаторами,
-Отопление, водоснабжение и канализация центральные,
-Центральное расположение -близость к основным деловым и административным центрам города,
Развитая инфраструктура: -Наличие всех необходимых коммуникаций и удобств в непосредственной близости. -Отличная транспортная доступность: Удобные подъездные пути: близость к остановкам общественного транспорта и Ж/Д станции . -Данный объект идеально подходит для размещения офисных помещений, торговых площадей, медицинских центров или других видов коммерческой деятельности. Его выгодное расположение и развитая инфраструктура обеспечат комфортные условия для вашего бизнеса.
Контактная информация: Для получения дополнительной информации и организации просмотра объекта, пожалуйста, пишите /звоните.