1/3
Коммерческая земля, Октябрьский
Сысертский городской округ
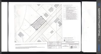
Продается земельный участок, 0, 5 Га, расположенный в пос. Октябрьский, Сысертского района.-Категория земель - земли сельскохозяйственного назначения.-Разрешенное использование (Территориальная зона ТП-2):Участок имеет широкий спектр разрешенных видов деятельности, включая:Строительная промышленностьПроизводственная деятельность Целлюлозно-бумажная промышленность Производственная, легкая, пищевая, фармацевтическая промышленность.Автомобилестроительная промышленность Склады и складские площадки.Автосервис, ремонт, мойка.Сельское хозяйство Хранение и переработка сельскохозяйственной продукции Помимо основных видов использования (производство, склады, сельское хозяйство), существует возможность легального размещения высокодоходных объектов по условно разрешенным видам, таких как: Заправка транспортных средств Недропользование Тяжелая промышленность Нефтехимическая промышленность Энергетика Обеспечение обороны и безопасности Специальная деятельность -Асфальтированная дорога до самого участка-Удобные подъезды/выезды на Челябинский, Тюменский, Арамильский тракты, ЕКАД. До г. Екатеринбург 12, 5 км.-Участок выровнен, имеет правильную прямоугольную форму.-Электричество - 150 кВтСтоимость объекта 22 000 000 руб. Торг.Более подробную информацию уточняйте у наших специалистов.------------------------------------------------- -----''Регион Бизнес Недвижимость''.Коммерческая недвижимость.Без комиссии для покупателей.Арт. 61603517
50 соток
22 000 000 ₽
