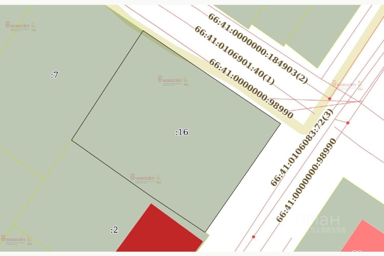
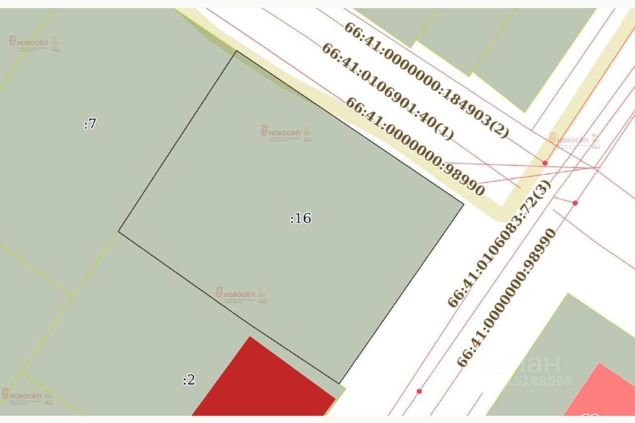
Объект N 190490. Продается ровный разработанный земельный участок правильной формы. Хорошее расположение, на углу ул. Молодежи и пер. Кольцова, в шаговой доступности остановки транспорта, магазины, школы, детские сады. Площадь 10 сот., категория земли: земли населенных пунктов, целевое назначение: под существующий индивидуальный жилой дом. На участке есть дом в жилом состоянии, заведено электричество, также есть возможность завести в дом газ, центральную воду и канализацию (все коммуникации проходят по периметру участка). Есть небольшая баня, новая теплица. Документы на землю и на дом оформлены, межевание проведено.